新建年产11亿片杜蕾斯安全套及18万吨滴露系列产品项目公示
发布时间:2022-07-11 阅读次数:1234 来源:系统管理员 作者:
新建年产11亿片杜蕾斯安全套及18万吨滴露系列产品项目公示
一、项目概况
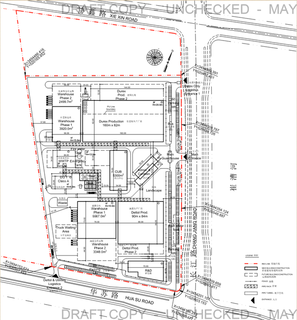
本项目位于苏州市太仓港经济技术开发区协鑫路以南,华苏路以北,S338高速公路以东,长江路以西。项目总用地面积113495平方米,总建筑面积115750.0平方米,其中一期工程总建筑面积86326平方米,二期工程总建筑面积29424平方米。购置高速剪切机、原胶罐、搅拌罐、浆洗系统、水处理系统等生产及辅助设备。项目投资总额为21500.0万美元。项目建成后,形成年产11亿片杜蕾斯安全套及18万吨滴露系列产品生产能力。项目性质为新建项目。
本项目建设期预计为3年,预计总投资约21500万美元。
二、征求公众意见内容
根据《国家发展改革委重大固定资产投资项目社会稳定风险评估暂行办法》(发改投资[2012]2492号)和《江苏省发展和改革委员会关于印发省发展改革委固定资产投资项目社会稳定风险评估暂行办法的通知》(苏发改规发[2012]1号),现对该项目进行公示,主要就以下几点征求公众对本项目的意见,如有其他方面意见或建议也可提出:
1. 本项目建设和运营对您的工作、生活环境的影响;
2. 本项目建设和运营对当地经济社会发展的影响;
3. 本项目建设和运营对当地环境的影响;
4. 本项目安全文明施工、质量管理;
5. 其他意见和建议。
三、公示说明
1. 自公示之日起十个工作日内,公众可通过信函/电话/电子邮件等形式与建设单位、评估单位联系。
2. 公示期间,评估单位将为公众提供相关资料查询和咨询服务。
3. 同时,公众对本项目有社会稳定风险方面的建议或意见,可向建设单位、评估单位提出。
四、联系方式
(一)建设单位
1. 单位名称:利洁时(苏州)有限公司
2. 单位地址:太仓港经济技术开发区银港路52号太仓生物港1号楼5层
3. 联 系 人:邓漪佳
4. 联系电话:13817942495
(二)评估单位
1. 单位名称:瑞和安惠项目管理九州平台(中国)有限公司官网有限公司苏州分公司
2. 单位地址:苏州市劳动路309号
3. 联 系 人:严工
4. 联系电话:0512-68336065 18351258217 邮箱:171869576@qq.com
二〇一九年八月十五日

